Listing Tools

Listed by Beth Decato of Keller Williams Realty-Metropolitan

Listing Sold by Keller Williams Realty-Metropolitan
Seller says sell before the winter. Motivated Seller! Nestled in a peaceful residential country setting, this beautiful parcel of land offers a perfect blend of privacy and accessibility. Located on a publicly maintained road, electric-serviced street just minutes from Interstate 89 and major routes providing easy access to Lebanon/Hanover, Concord, Sunapee, and Newport/Claremont. Enjoy the nearby serenity if Baptist Pond and the endless outdoor recreation opportunities of the Sunapee Region - including hiking, skiing, boating, and more. Ideal for the outdoorsman or anyone seeking a quiet retreat with conveniences of town amenities.

Property Details of Stoney Brook Road

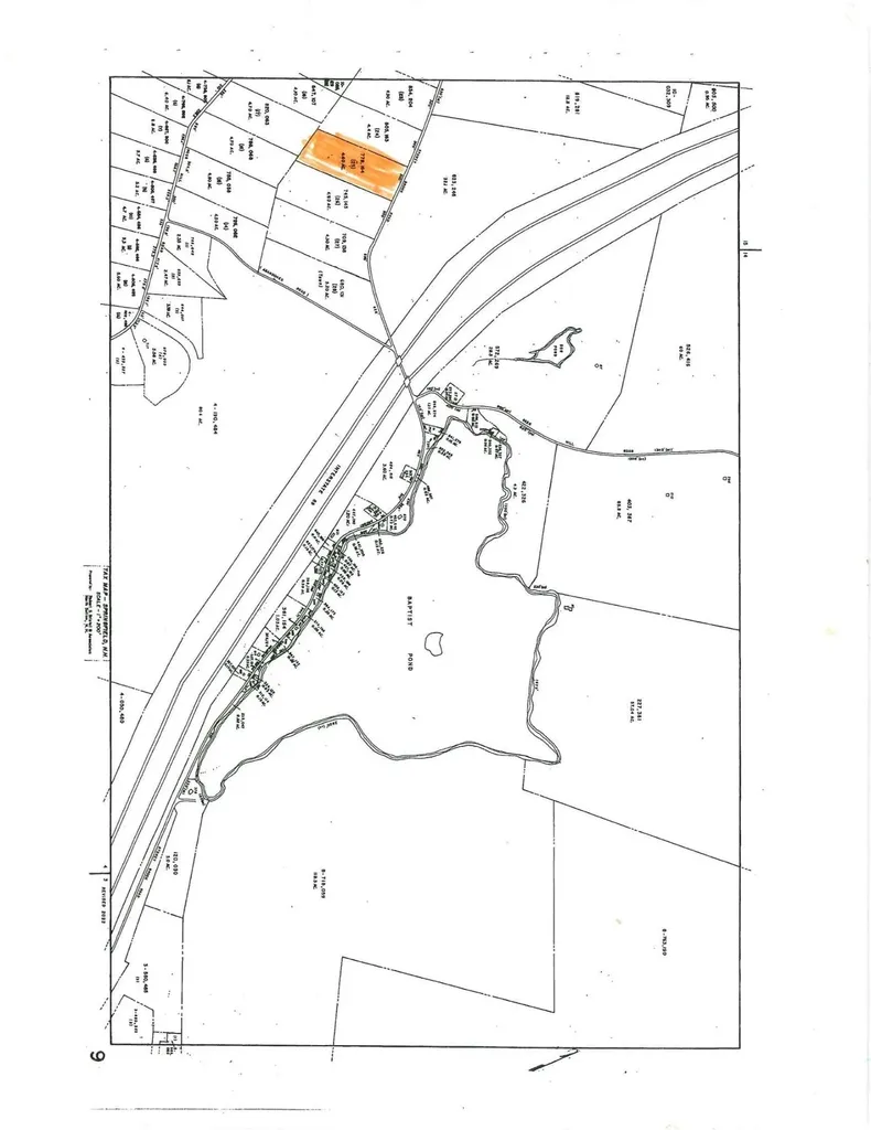
Map Location

Driving Directions

Broker Reciprocity 

Copyright 2026 PrimeMLS, Inc. All rights reserved. This information is deemed reliable, but not guaranteed. The data relating to real estate displayed on this display comes in part from the IDX Program of PrimeMLS. The information being provided is for consumers’ personal, non-commercial use and may not be used for any purpose other than to identify prospective properties consumers may be interested in purchasing. Data last updated January 17, 2026 6:07 AM EST

 

Hi there! How can we help you?

Contact us using the form below or give us a call.

Send Us A Message:

I agree to receive marketing and customer service calls and text messages from Harbor Light Realty. To opt out, you can reply 'stop' at any time or click the unsubscribe link in the emails. Consent is not a condition of purchase. Msg/data rates may apply. Msg frequency varies. Privacy Policy.

Do not fill in this field:

This site is protected by reCAPTCHA and the Google Privacy Policy and Terms of Service apply.

Hi there! How can we help you?

Contact us using the form below or give us a call.

Send Us A Message:

Do not fill in this field:

This site is protected by reCAPTCHA and the Google Privacy Policy and Terms of Service apply.

Hi there! How can we help you?

Contact us using the form below or give us a call.

Send Us A Message:

Do not fill in this field:

This site is protected by reCAPTCHA and the Google Privacy Policy and Terms of Service apply.

Do not fill in this field:

This site is protected by reCAPTCHA and the Google Privacy Policy and Terms of Service apply.

Do not fill in this field:

This site is protected by reCAPTCHA and the Google Privacy Policy and Terms of Service apply.

Do not fill in this field:

This site is protected by reCAPTCHA and the Google Privacy Policy and Terms of Service apply.

$

Do not fill in this field:

This site is protected by reCAPTCHA and the Google Privacy Policy and Terms of Service apply.